

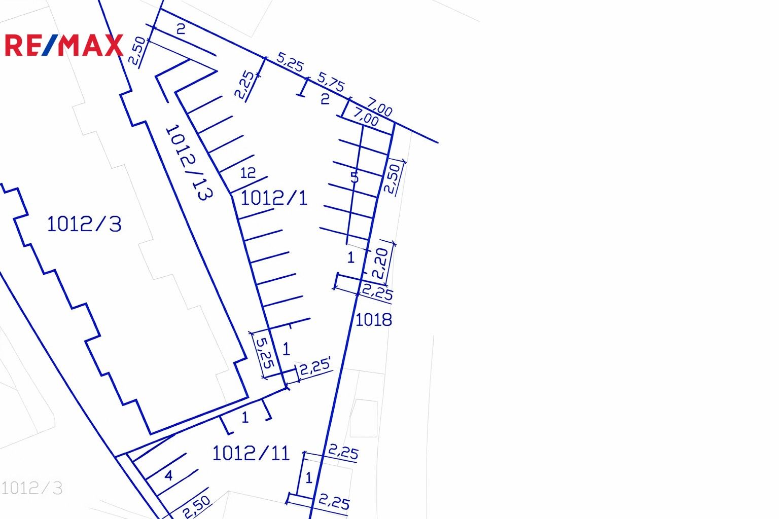
Nabízíme ke koupi pozemkovou parcelu č. 1012/1 o výměře 935 m², která se nachází v ulici Roudenská v Českých Budějovicích. Pozemek ostatní plocha, jiná plocha, nyní slouží jako veřejná zeleň, dle územního plánu je součástí plochy s velmi rozmanitým způsobem využití.
Pozemek je přístupný z veřejné komunikace. Z větší části rovinatý, zadní menší část svažitá.
Obvyklé a přípustné jsou činnosti dle ÚPO vycházející z bydlení v bytových (nájemních) domech v okolí, přípustné jsou rovněž činnosti poskytující služby středního rozsahu, zejména obchodní, administrativní, zdravotní a sociální, vzdělávací, kulturní, sportovní a rekreační, dopravní a technické místního dosahu.
Vzhledem k umístění parcely u panelových domů, kde je dlouhodobý nedostatek parkovacích míst, tento pozemek nabízí větší část své plochy pro využití na parkování např. formou zřízení parkovacích míst a jejich odprodej konkrétním vlastníkům nebo v podobě placeného parkoviště, nebo jiný druh komerčního využití vycházející z potřeb husté okolní zástavby bytovými domy.
V případě zájmu o bližší informace, zejména zákresy inženýrských sítí a informace z územního plánu, mě neváhejte kontaktovat.
Parametry
- ID nabídky Realingo-428587
- 935 m² pozemku
- 3 417 Kč za m² pozemku
- na Realingu
- Aktualizace před 2 dny
Co je v okolí
včetně kontaktních údajů na majitele
Jste inzerent?
Je toto vaše nabídka? Vylepšete ji a získejte více zájemců. Inzerování na Realingu je zdarma pro všechny.
Podobné nabídky v okolí
včetně kontaktních údajů na majitele
Jste inzerent?
Je toto vaše nabídka? Vylepšete ji a získejte více zájemců. Inzerování na Realingu je zdarma pro všechny.







