

+3 fotografie
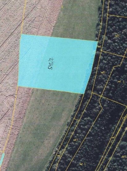
4.3.2026 od 10:15 proběhne na portále e-drazby.cz pod https://www.e-drazby.cz/index.php?obj=&dd=MzU5MTE= elektronická dražba poloviny 9591 m² zemědělských pozemků a 705 m² ostatní komunikace v k.ú. Budislav u Litomyšle
Parametry
- na Realingu
Mapa se načítá...
Co je v okolí
včetně kontaktních údajů na majitele
Jste inzerent?
Je toto vaše nabídka? Vylepšete ji a získejte více zájemců. Inzerování na Realingu je zdarma pro všechny.
včetně kontaktních údajů na majitele
Jste inzerent?
Je toto vaše nabídka? Vylepšete ji a získejte více zájemců. Inzerování na Realingu je zdarma pro všechny.

