

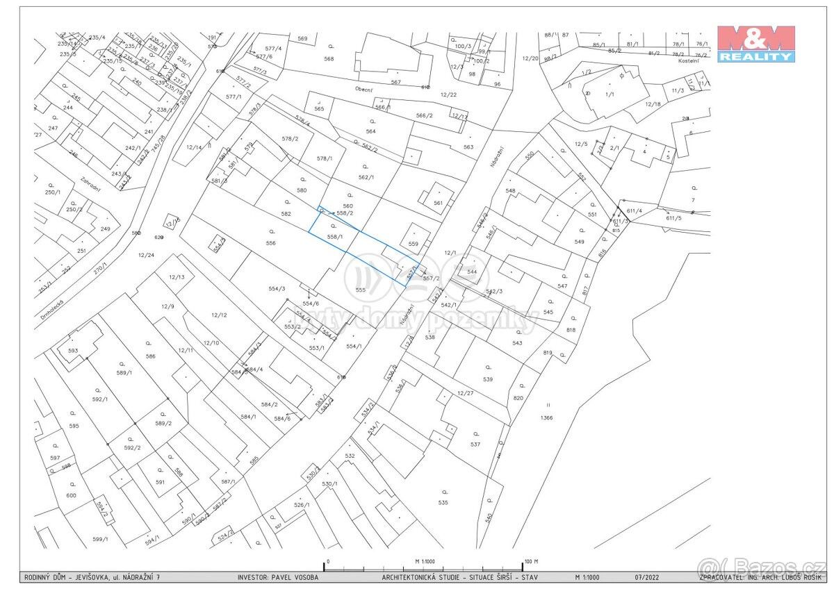
Prodej stavebního pozemku se zahradou s možností vybudovat ideální domov o zastavěné ploše 161 m² a celkové ploše 722 m², v obci Jevišovka, ve vinařské a rekreační oblasti nedaleko vodní nádrže Nové mlýny.Pozemky se nachází v klidné lokalitě. Pozemek je situován v jižní části obce Jevišovka poblíž jejího centra.Na pozemku se nachází budova, která je momentálně určena k demolici, v případě nové výstavby je již vypracována architektonická studie.Budova stojí na pozemku 557/1; součástí pozemku je stavba. Druh pozemku: zastavěná plocha a nádvoří o výměře 455m²557/2 Druh pozemku: ostatní plocha o výměře 22m²558/1 Druh pozemku: zahrada o výměře 263m²558/2 Druh pozemku: zahrada o výměře 32m²Celková velikost pozemku včetně zastavěné části je 722m².Po dohodě je možné odstranění budovy a zakoupení vyklizeného pozemku.Pro více informací neváhejte kontaktovat makléře.Lokalita: JevišovkaEvidenční číslo: 904633
Parametry
- na Realingu
- Aktualizace před 56 dny
Co je v okolí
včetně kontaktních údajů na majitele
Jste inzerent?
Je toto vaše nabídka? Vylepšete ji a získejte více zájemců. Inzerování na Realingu je zdarma pro všechny.
Podobné nabídky v okolí
včetně kontaktních údajů na majitele
Jste inzerent?
Je toto vaše nabídka? Vylepšete ji a získejte více zájemců. Inzerování na Realingu je zdarma pro všechny.







