

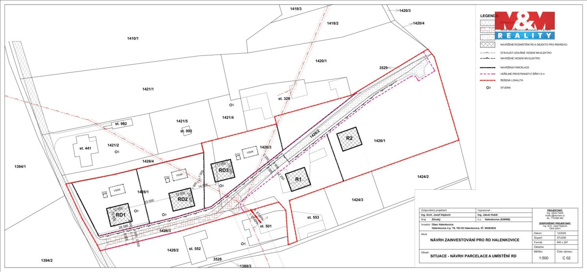
Máme pro Vás pozemek o velikosti 8949 m², který je dělitelný na menší celky. Pozemek je rovinatý nebo mírně svažitý. Část pozemku o velikosti 4429 m² je vedena v BI (plochy individuálního bydlení), dalších 1700 m² je v RI (plochy rodinné rekreace). Přibližně 2064 m² je Z.1 (plocha zemědělská - specifická). Ostatní plocha je komunikace, která vede přes celý pozemek a umožňuje příjezd k jednotlivým pozemkům.
Pozemek se nachází v místní lokalitě Nad Hradským. V této lokalitě jsou již rodinné domy postaveny, ale jedná se spíš o klidnou lokalitu poskytující dostatek soukromí a krásné výhledy na okolí. Lokalita je na okraji CHKO Chřiby, ale není součástí CHKO. Pro jednotlivé domy se předpokládá vybudování studní (je k tomu zpracován hydrogeologický posudek s rozmístěním zdrojů vody) a čističek odpadních vod. Domy, které zde budou postaveny, mohou mít 2 NP a není stanoven koeficient zastavitelnosti. Nezávazná studie je zpracována. Pro více informací zavolejte.
Parametry
- ID nabídky Realingo-930129
- Dobrý stav
- Osobní vlastnictví
- na Realingu
- Aktualizace před 36 dny
Co je v okolí
včetně kontaktních údajů na majitele
Jste inzerent?
Je toto vaše nabídka? Vylepšete ji a získejte více zájemců. Inzerování na Realingu je zdarma pro všechny.
Podobné nabídky v okolí
včetně kontaktních údajů na majitele
Jste inzerent?
Je toto vaše nabídka? Vylepšete ji a získejte více zájemců. Inzerování na Realingu je zdarma pro všechny.







