

6 990 000 Kč
Pozemek pro bydlení, 2 m², Milešovice
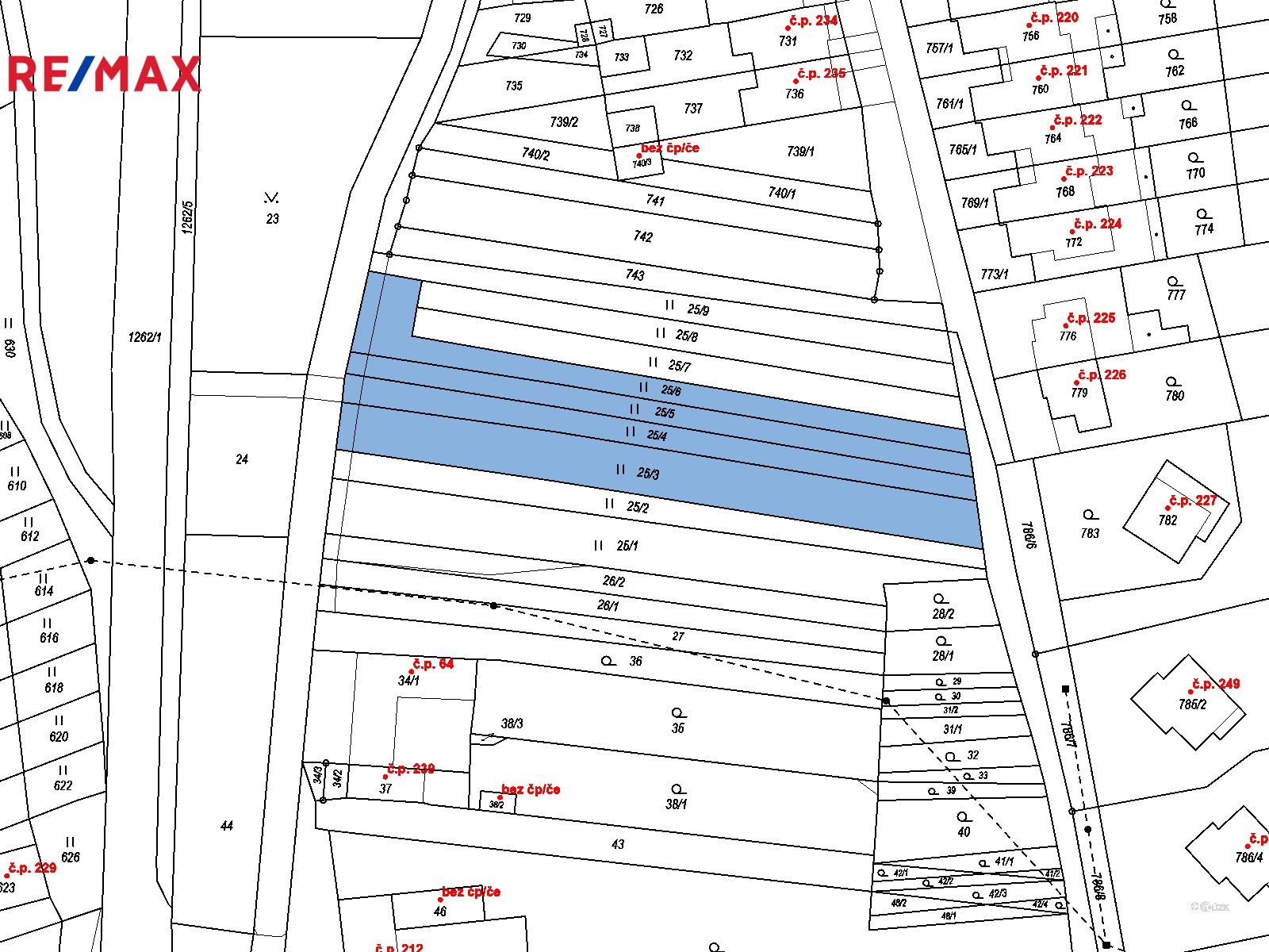
Ve výhradním zastoupení majitele si Vám dovoluji nabídnout stavební pozemek 2230 m² vhodný k výstavbě jednoho nebo více rodinných domů v obci Milešovice.
Pozemek se nachází v klidné části obce, téměř na okraji. V přilehlé komunikaci jsou všechny inženýrské sítě, elektřina, plyn, kanalizace, obecní vodovod.
Pozemek je obdélníkového tvaru s uliční šíři cca 21 m a délkou cca 112m.
Velikou výhodou pozemku je, že je příjezdová cesta z obou stran pozemku.
Ve fotogalerii je i vidět, jak by případný stavitel mohl pozemek rozdělit na 7 stavebních pozemků.
Rád Vám pozemek osobně představím, sdělím podrobnější informace a předložím územně plánovací Informaci, ve které jsou všechny přípustné způsoby využití pozemku a dále předložím od správců síti vyjádření o existenci sítí.
Nemovitost není zatížena žádnou exekucí ani břemenem a je nachystána k prodeji.
Obec Milešovice se nachází 18 km jihovýchodně od Brna.
S financováním Vám velice rádi pomůžeme.
Pro bližší informace volejte. Těším se na setkání s vámi.
UVEDENÁ CENA JE VČETNĚ PROVIZE I PRÁVNÍCH SLUŽEB
Parametry
- ID nabídky Realingo-434065
- 2 m² pozemku
- 3 495 000 Kč za m² pozemku
- Přípojky: plyn a kanalizace
- na Realingu
Co je v okolí
včetně kontaktních údajů na majitele
Jste inzerent?
Je toto vaše nabídka? Vylepšete ji a získejte více zájemců. Inzerování na Realingu je zdarma pro všechny.
6 990 000 Kč
Pozemek pro bydlení, 2 m²
Milešovice
včetně kontaktních údajů na majitele
Jste inzerent?
Je toto vaše nabídka? Vylepšete ji a získejte více zájemců. Inzerování na Realingu je zdarma pro všechny.



