

Hledáte klidný a pohodový život mimo Prahu, ale s výbornou dostupností?
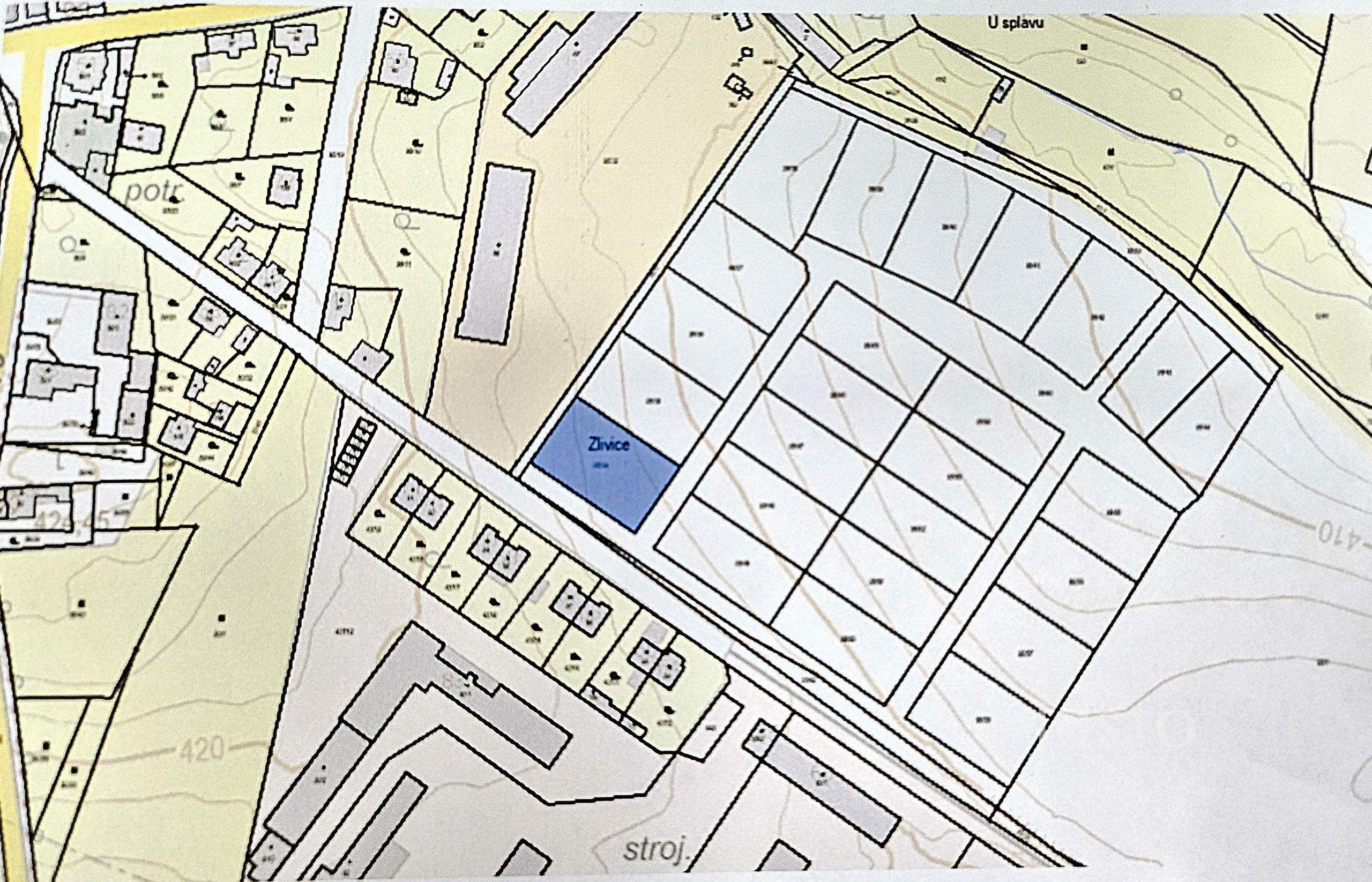
V novém Rezortu Mirotice nabízíme poslední dva stavební pozemky o velikosti 1 200 m² (ideální rozměry 30×40 m) – perfektní pro váš vysněný rodinný dům. Součástí je kompletní zasíťování a přístupová cesta.
Harmonogram výstavby 2025:
2Q: odstranění ornice, výkopové práce
3Q: kanalizace, vodovod
4Q: obrubníky, finální povrchy, veřejné osvětlení, kiosky, optický kabel
Dokončení: listopad 2025 – stavět můžete hned po kolaudaci infrastruktury.
Technické parametry:
Max. zastavěnost: 35 % (až 420 m²)
Max. výška domu: 2 NP nebo 10 m
Lokalita:
Mirotice – rozvíjející se město s plnou občanskou vybaveností (ZŠ, MŠ, lékař, zubař, restaurace) a bohatým kulturním i sportovním životem. Skvělá dostupnost: Praha 35 min, Příbram 20 min, Písek 14 min.
Kontaktujte nás co nejdříve!
Parametry
- ID nabídky Realingo-970625
- Osobní vlastnictví
- Přípojky: elektřina a kanalizace
- na Realingu
Co je v okolí
včetně kontaktních údajů na majitele
Jste inzerent?
Je toto vaše nabídka? Vylepšete ji a získejte více zájemců. Inzerování na Realingu je zdarma pro všechny.
Podobné nabídky v okolí
včetně kontaktních údajů na majitele
Jste inzerent?
Je toto vaše nabídka? Vylepšete ji a získejte více zájemců. Inzerování na Realingu je zdarma pro všechny.






