

+3 fotografie
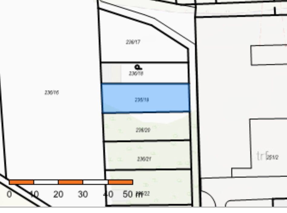
Prodám pozemek v Olomouci – Hejčíně o rozloze 408 m², č.par. 236/19 v kat.území Hejčín. Je na klidném místě na kraji města a sousedí se zahradou. Elektřina je hned na hranici pozemku.Příjezd: K pozemku vede obecní cesta, přístup je tedy úplně bez problémů.
Parametry
- na Realingu
Mapa se načítá...
Co je v okolí
včetně kontaktních údajů na majitele
Jste inzerent?
Je toto vaše nabídka? Vylepšete ji a získejte více zájemců. Inzerování na Realingu je zdarma pro všechny.
Podobné nabídky v okolí
včetně kontaktních údajů na majitele
Jste inzerent?
Je toto vaše nabídka? Vylepšete ji a získejte více zájemců. Inzerování na Realingu je zdarma pro všechny.






