

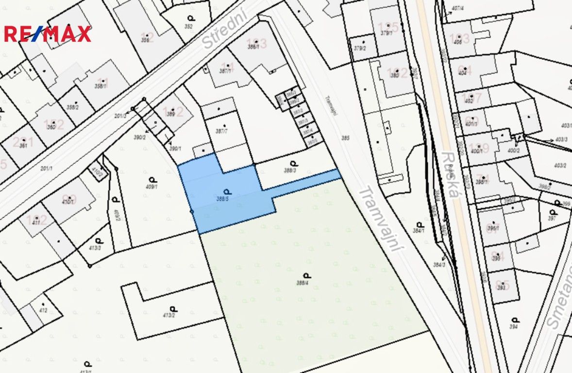
Nabízíme k prodeji zahradu o výměře 700 m² v klidné části města Dubí – Pozorka, v osobním vlastnictví. Pozemek se nachází v zahrádkářské lokalitě mezi ulicemi Střední, Tramvajní a Ruská.
Lokalita a dostupnost:
velmi dobrá dopravní dostupnost – v blízkosti autobusová a vlaková zastávka
občanská vybavenost v dosahu (obchody, restaurace, služby – Penny Market v docházkové vzdálenosti)
příjezd po obecní komunikaci (ul. Tramvajní)
Pozemek:
celková výměra: 700 m²
osobní vlastnictví
rovinný terén, v současnosti zatravněný a částečně porostlý náletovými dřevinami
klidné a soukromé prostředí obklopené zelení
Vhodné využití:
zahrada pro rekreaci a relaxaci
možnost zřízení sadu, záhonů či menšího mobilního objektu (např. zahradní domek, chatka – dle územního plánu a po konzultaci se stavebním úřadem)
Další informace:
parc. č. 388/5, k.ú. Pozorka u Dubí
přístup z ulice Tramvajní
Parametry
- ID nabídky Realingo-423113
- 700 m² pozemku
- 1 143 Kč za m² pozemku
- na Realingu
- Aktualizace před 17 dny
Co je v okolí
včetně kontaktních údajů na majitele
Jste inzerent?
Je toto vaše nabídka? Vylepšete ji a získejte více zájemců. Inzerování na Realingu je zdarma pro všechny.
Podobné nabídky v okolí
včetně kontaktních údajů na majitele
Jste inzerent?
Je toto vaše nabídka? Vylepšete ji a získejte více zájemců. Inzerování na Realingu je zdarma pro všechny.







