

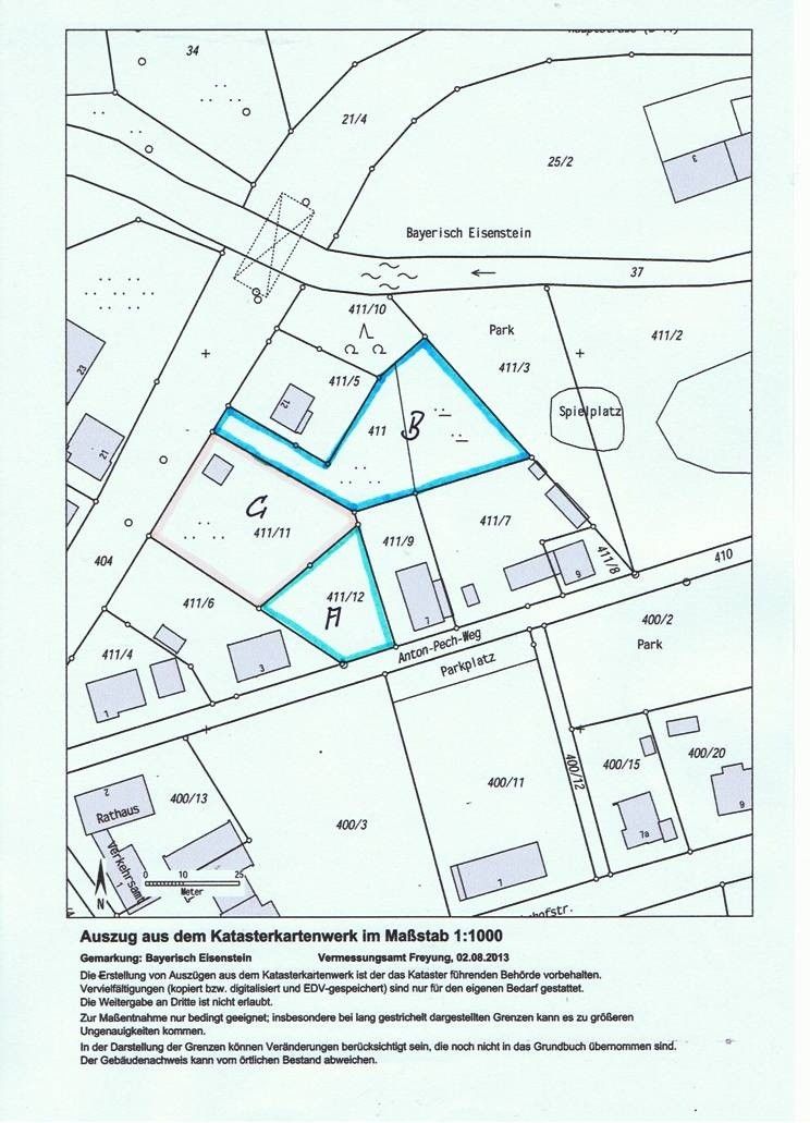
Nabízíme exkluzivní zasíťovaný stavební pozemek v Bavorské Rudě (Bayerisch Eisenstein) o rozloze 700m². Parcela je umístěna přímo u zrekonstruované pěší zóny Anton Pech Weg, vedle městského parku a radnice.Tento stavební pozemek se nachází v malebném městečku Bayerisch Eisenstein, které nabízí kombinaci zázemí města a přímého vyrážení do hor.Hlavní výhody pozemku:• Jedná se o stavební pozemek a je na něj již vyvedená přípojka plynu a elektřiny. Voda a kanalizace na hranici pozemku. Jsou zaplacené i poplatky pro stavbu většího RD (příspěvek obci na čističku a připojení od obce).• Z pozemku je výhled na Velký Javor (Großer Arber).• Pozemek se nachází v přímé blízkosti parku s aktivitami pro děti a pro procházky.• V zimě je díky poloze zajištěné každodenní protažení cesty sněžným pluhem až k pozemku.• Pozemek není u hlavní silnice, přístup je z vedlejší, neprůjezdné silnice.• Přístup k pozemku je z obecní komunikace.• Česká vlaková zastávka Alžbětín je od pozemku vzdálena pouze 600 m. Alžbětín je přímo spojen s německým nádražím Bayerisch Eisenstein. Lze tak použít vlak jak na českou stranu, tak na německou stranu.• Z Bayerisch Eisenstein lze přímo vyrážet na kolo cyklostezkami na několik stran• V Bayerisch Eisenstein je přímo nástup na běžkařskou stopu Hohenzollernloipen• Nejbližší spojení na lyžařské středisko Velký Javor, kam se dá vyrážet i v létě na turistiku nebo bikepark• Jedny z nejlepších běžkařských tras Bretterschachten jsou vzdáleny zhruba 15 minut.• Dále přímé napojení cyklostezkou s Alžbětínem a Železnou Rudou• Špičák je vzdálený pouhých 6 kmPozemek je přístupný a je možné se na něj kdykoli podívat. Prodej v Německu musí probíhat přes notáře a je potřeba počítat s celkovými náklady ca. 8-10% za veškeré poplatky a daně notáři. Není pak třeba již nic dalšího podnikat, jelikož notář zapíše nemovitost jak na katastr nemovitostí, tak zajistí informování o změně vlastníka na ostatních úřadech (finanční úřad, obec Bayerisch Eisenstein apod.).
Parametry
- na Realingu
- Aktualizace před 39 dny
Co je v okolí
včetně kontaktních údajů na majitele
Jste inzerent?
Je toto vaše nabídka? Vylepšete ji a získejte více zájemců. Inzerování na Realingu je zdarma pro všechny.
včetně kontaktních údajů na majitele
Jste inzerent?
Je toto vaše nabídka? Vylepšete ji a získejte více zájemců. Inzerování na Realingu je zdarma pro všechny.
