

1 499 000 Kč
Pozemek pro bydlení, Němčice, Sedlice
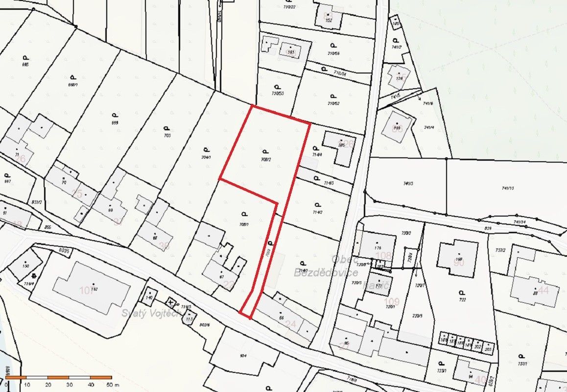
Nabízíme vám k prodeji stavební pozemek o rozloze 1 346 m² v obci Němčice u Sedlice, jen kousek od města Blatná v Jihočeském kraji. Pozemek je podle územního plánu součástí zastavitelné části obce, ideální pro výstavbu nízkopodlažních rodinných domů.Jihovýchodně orientovaný pozemek s mírně svažitým terénem poskytuje dostatek slunečního svitu po celý den. Příjezdová komunikace je asfaltová a zajišťuje pohodlný a bezproblémový přístup. Na pozemku je již zavedena elektřina, vodu lze řešit vrtem a odpad prostřednictvím vlastního septiku.Autobusová zastávka je pouhých 100 metrů od pozemku. Základní občanská vybavenost dostupná v nedaleké Sedlici.V dohledné době bude vybudován obchvat a pozemek se ocitne v absolutně klidné části obce.Klidná a příjemná lokalita obklopená přírodou, ideální pro rodinné bydlení či rekreaci.Tento pozemek představuje skvělou příležitost pro ty, kteří hledají harmonii mezi klidným venkovským prostředím a dobrou dostupností města. Vychutnejte si krásy jihočeské krajiny a vytvořte si domov podle svých představ.Pro bližší informace k nemovitosti kontaktujte prosím realitního makléře.Financování hypotečním úvěrem Vám zajistíme.Lokalita
Parametry
- ID nabídky Realingo-MR-7659
- na Realingu
- Aktualizace před 14 dny
Co je v okolí
včetně kontaktních údajů na majitele
Jste inzerent?
Je toto vaše nabídka? Vylepšete ji a získejte více zájemců. Inzerování na Realingu je zdarma pro všechny.
Podobné nabídky v okolí
1 499 000 Kč
Pozemek pro bydlení
Němčice, Sedlice
včetně kontaktních údajů na majitele
Jste inzerent?
Je toto vaše nabídka? Vylepšete ji a získejte více zájemců. Inzerování na Realingu je zdarma pro všechny.







