

80 624 000 Kč
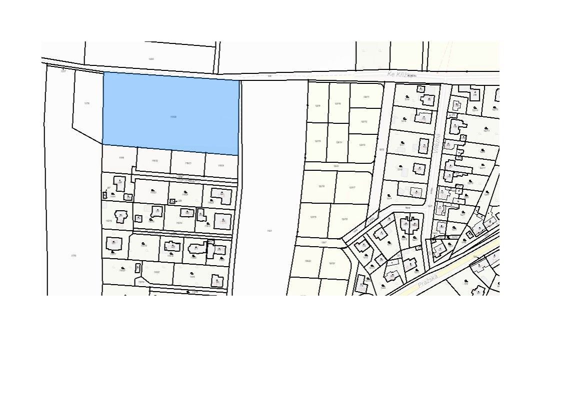
Splátka od 349 802 Kč měsíčně (úrok 5,09 %)Pozemek pro bydlení, 10 078 m², Podolanka Ke Kapličce
Lukrativní pozemek pro výstavbu rodinných domů na hranici Prahy v Podolance (Praha-Východ)
Nabízíme k prodeji výjimečný pozemek o výměře 10 078 m², který se nachází v katastrálním území Podolanka (parcela 115/29), na hranici Prahy. Tento pozemek je ideální příležitostí pro výstavbu několika rodinných domů (RD) či rozsáhlejšího developerského projektu.
Informace o pozemku:
Výměra: 10 078 m²
Aktuální druh pozemku: Orná půda
Územní plán: Pozemek je určen k výstavbě, aktuálně probíhá proces dělení na jednotlivé parcely na stavebním úřadě (plánováno 10 parcel + přístupová cesta).
Infrastruktura: Možnost jednoduchého zasíťování pozemku.
Klíčové informace o Podolance u Prahy:
Podolanka je malebná obec ležící na hranici hlavního města Prahy, která nabízí klidné bydlení v blízkosti metropole. Je ideální pro ty, kteří hledají rovnováhu mezi rušným městským životem a klidným venkovským prostředím.
Dostupnost: Výborné spojení do centra Prahy, jak autem, tak veřejnou dopravou.
Občanská vybavenost: V obci a okolí najdete základní občanskou vybavenost, jako jsou obchody, školy a zdravotnická zařízení.
Přírodní prostředí: Podolanka je obklopena krásnou přírodou, která nabízí možnosti pro volnočasové aktivity, jako jsou turistika a cyklistika.
Komunitní život: Přátelská komunita a různé kulturní a společenské akce přispívají k příjemnému životu v obci.
Tento pozemek představuje skvělou investiční příležitost s výborným potenciálem pro rozvoj rezidenční výstavby. Zájemcům pozemek rádi osobně ukážeme a poskytneme podrobnější informace.
Upozornění: Prosíme, aby nás realitní kanceláře nekontaktovaly. Tento inzerát je určen pouze pro přímé zájemce.
Těšíme se na vaše dotazy a rádi vám poskytneme další informace.
Parametry
- 10 078 m² pozemku
- 8 000 Kč za m² pozemku
- na Realingu