
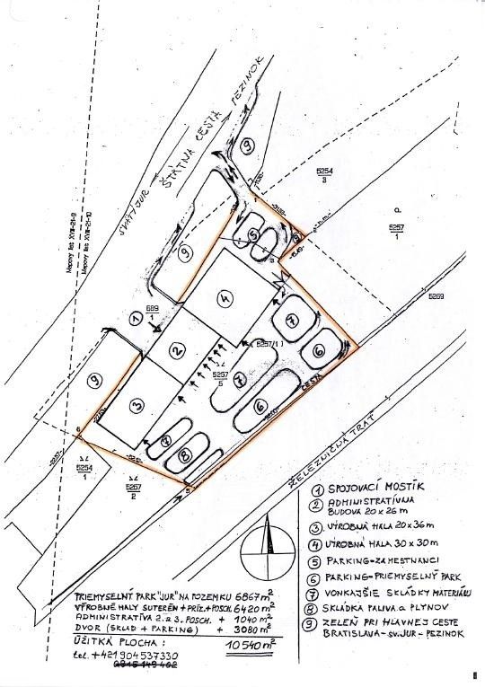
Predám pozemok v centre Bratislavy 4- Karlova Ves 4760m²(52mx90m)ostatná plocha,od električky Karloveská cesta po Dlhé Diely, ul. Nad Lúčkami, nová cesta na pozemok, siete na pozemku, ZONÁLNE riešenie územia schválené poslancami ZONA-IV.,počíta s DOMINANTOU územia: 30-50 poschodí na rezidenčné bývanie, HOTEL, KONGRESOVÉ centrum, Obchodný DOM...Výškopis mám zameraný, Cena: 950€/m² ajdohodou, Viera, Dušan +421 944 149 690
Parametry
- na Realingu
- Aktualizace před 17 dny
Mapa se načítá...
včetně kontaktních údajů na majitele
Jste inzerent?
Je toto vaše nabídka? Vylepšete ji a získejte více zájemců. Inzerování na Realingu je zdarma pro všechny.
včetně kontaktních údajů na majitele
Jste inzerent?
Je toto vaše nabídka? Vylepšete ji a získejte více zájemců. Inzerování na Realingu je zdarma pro všechny.
