

+2 fotografie
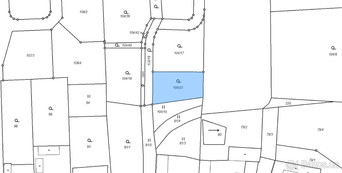
Ve vesničce Zborov, část městyse Ledenice v okrese České Budějovice, která se nachází asi 4 km na západ od Ledenic, nabízíme k prodeji pozemek v podílovém spoluvlastnictví 1/2 o výměře 108 m² z celkové výměry 216 m² (zbývající část vlastní 1 spoluvlastník). Dle katastru nemovitostí je pozemek veden jako trvalý travní porost. Zborov je též názvem katastrálního území. V případě zájmu nás neváhejte kontaktovat.
Parametry
- ID nabídky Realingo-N00467
- 108 m² pozemku
- Jiné vlastnictví
- na Realingu
- Aktualizace před 154 dny
Mapa se načítá...
Co je v okolí
včetně kontaktních údajů na majitele
Jste inzerent?
Je toto vaše nabídka? Vylepšete ji a získejte více zájemců. Inzerování na Realingu je zdarma pro všechny.
Podobné nabídky v okolí
včetně kontaktních údajů na majitele
Jste inzerent?
Je toto vaše nabídka? Vylepšete ji a získejte více zájemců. Inzerování na Realingu je zdarma pro všechny.







