

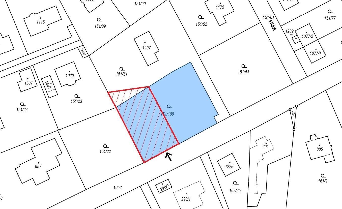
Exkluzivní stavební pozemek v klidné lokalitě Žernovka Mukařov, ul. HorkaNabízíme k prodeji atraktivní stavební pozemek pravidelného čtvercového tvaru v malebné a klidné části obce Žernovka, spadající pod Mukařov. Lokalita ulice Horka je ideálním místem pro ty, kteří hledají harmonii mezi přírodou, soukromím a výbornou dostupností do Prahy.Pozemek svým tvarem poskytuje maximální flexibilitu při plánování domu i zahrady a umožňuje efektivní využití celé plochy.Veškeré inženýrské sítě jsou k dispozici přímo u pozemku elektřina, vodovod i kanalizace.Maximální zastavitelnost: 30%Minimální koeficient zeleně: 50%Maximální výška stavby: 10,5m (hřeben)V okolí je plánována výstavba několika rodinných domů, což přirozeně dotvoří moderní a hodnotné rezidenční prostředí při zachování komorní atmosféry lokality.Za pozemkem se nachází zatopený lom, který podtrhuje jedinečný charakter místa a nabízí krásné přírodní scenérie i možnosti relaxace.Výjimečná kombinace klidu, přírody a rychlé dostupnosti do Prahy činí z této nabídky ideální příležitost pro výstavbu rodinného domu s dlouhodobou hodnotou.Pro více informací a sjednání osobní prohlídky nás neváhejte kontaktovat. Třída energetické náročnosti: (dle ) Cena: 5 000 000 Kč
Parametry
- na Realingu
- Dnes aktualizováno
Co je v okolí
včetně kontaktních údajů na majitele
Jste inzerent?
Je toto vaše nabídka? Vylepšete ji a získejte více zájemců. Inzerování na Realingu je zdarma pro všechny.
Podobné nabídky v okolí
včetně kontaktních údajů na majitele
Jste inzerent?
Je toto vaše nabídka? Vylepšete ji a získejte více zájemců. Inzerování na Realingu je zdarma pro všechny.







